热搜:

征收土地预公告

时间:2025-10-20 09:06 来源:鼓楼区自然资源和规划局
| | | |

  

  鼓征预公告〔20251

  为实施福州市国民经济和社会发展规划、国土空间规划,根据《中华人民共和国土地管理法》等法律法规的规定,现发布福州市茶园山中心小学教学综合楼(二期)扩建项目土地征收预公告:

  一、征收土地的范围、目的

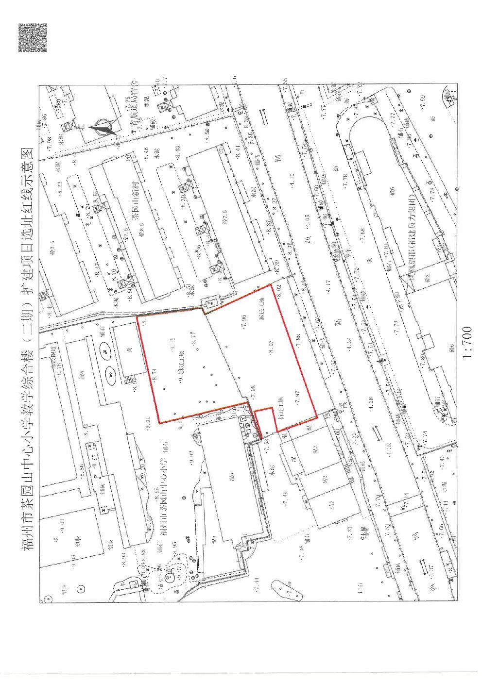
  1.拟用地(使用)面:0.1691公顷。

  2.征地范围:东至茶园山新村

  西至凤凰假日酒店

  南至空地

  北至茶园山中心小学

  具体位置详见选址位置示意图。

  3.涉及的村集体经济组织(具体以土地现状调查结果为准):鼓楼区洪山镇西郊股份经济合作社。            

  4.征地目的:本次征收集体土地用于茶园山中心小学教学综合楼(二期)扩建项目建设,规划用途为公共管理与公共服务用地-中小学用地,为政府组织实施的教育类公共事业建设需要用地,符合《中华人民共和国土地管理法》第四十五条规定。

  二、其他事项

  1.拟于2025 10  20 日至2025 116日由鼓楼区洪山镇人民政府组织有关部门进行土地现状调查,有关单位和个人应予积极支持配合。本公告之日起,凡在拟征收土地范围内抢栽、抢种、抢建等,一律不予补偿。

  2.本公告在本政府门户网站主动公开,并征收土地涉及的乡镇(街道)和村集体经济组织所在地予以张贴,公告时间为十个工作日。村集体经济组织应及时将本公告内容通知被征地的单位和个人。

  3.由洪山镇人民政府在项目范围内组织开展土地现状调查、征地社会稳定性风险评估、补偿登记、补偿协议签订等征地前期相关工作。

  特此公告

  附:选址红线示意图

                  

        

  福州市鼓楼区人民政府

                                 2025年10月20日


(此件主动公开)

 

0003


 

点击收起