
- 索 引 号: FZ01105-2100-2025-00002
- 主题分类: 无
- 发文机关: 鼓楼区自然资源和规划局
- 成文日期: 2025-10-20
- 标 题: 征收土地预公告
- 发文字号: 鼓征预公告〔2025〕1号
- 发布日期: 2025-10-20
- 有 效 性: 有效
鼓征预公告〔2025〕1号
为实施福州市国民经济和社会发展规划、国土空间规划,根据《中华人民共和国土地管理法》等法律法规的规定,现发布福州市茶园山中心小学教学综合楼(二期)扩建项目土地征收预公告:
一、征收土地的范围、目的
1.拟用地(使用)面积:0.1691公顷。
2.征地范围:东至茶园山新村;
西至凤凰假日酒店;
南至空地;
北至茶园山中心小学。
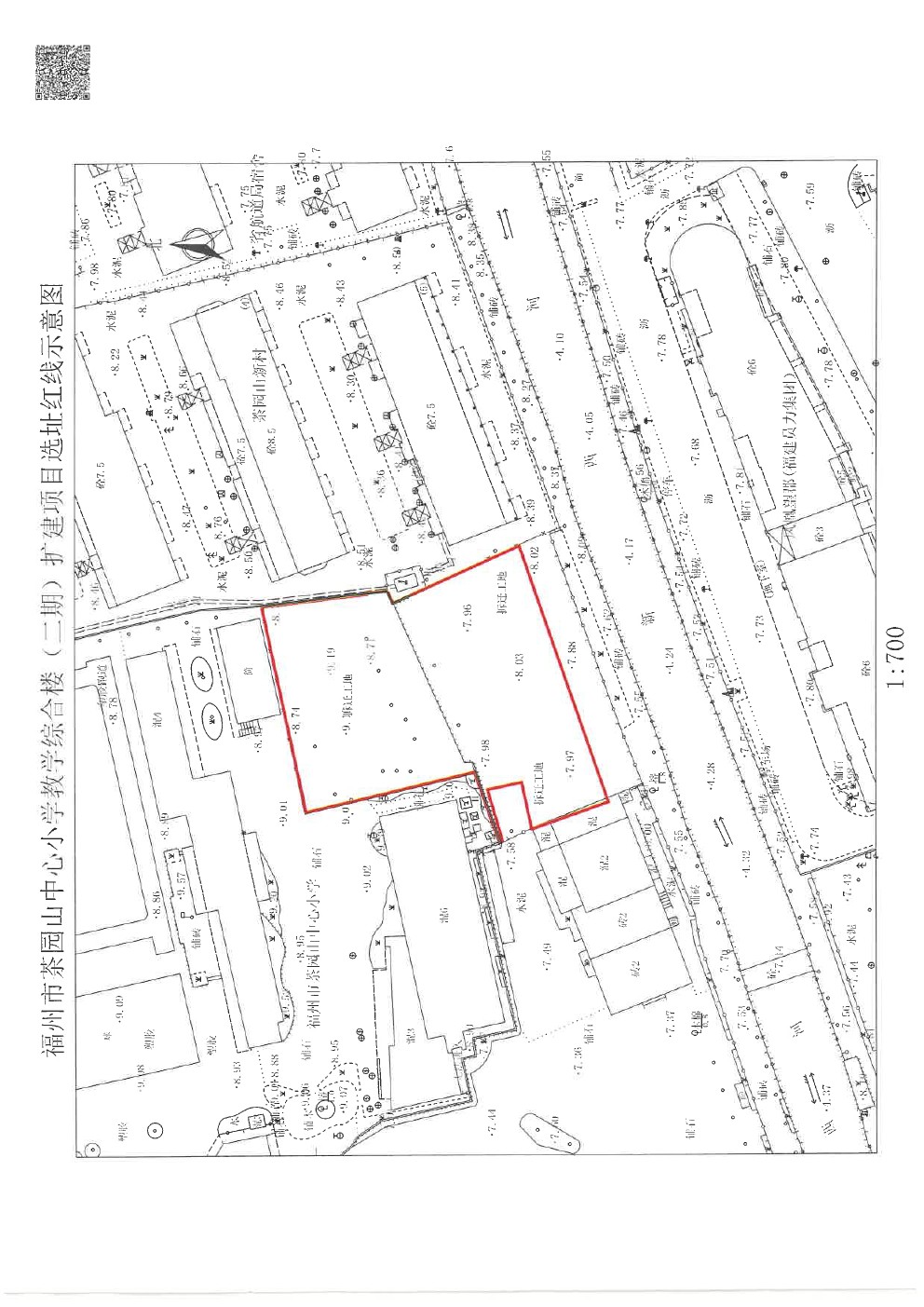
具体位置详见选址位置示意图。
3.涉及的村集体经济组织(具体以土地现状调查结果为准):鼓楼区洪山镇西郊股份经济合作社。
4.征地目的:本次征收集体土地用于茶园山中心小学教学综合楼(二期)扩建项目建设,规划用途为公共管理与公共服务用地-中小学用地,为政府组织实施的教育类公共事业建设需要用地,符合《中华人民共和国土地管理法》第四十五条规定。
二、其他事项
1.拟于2025年 10 月 20 日至2025年 11月6日由鼓楼区洪山镇人民政府组织有关部门进行土地现状调查,有关单位和个人应予积极支持配合。本公告之日起,凡在拟征收土地范围内抢栽、抢种、抢建等,一律不予补偿。
2.本公告在本政府门户网站主动公开,并在拟征收土地涉及的乡镇(街道)和村集体经济组织所在地予以张贴,公告时间为十个工作日。村集体经济组织应及时将本公告内容通知被征地的单位和个人。
3.由洪山镇人民政府在项目范围内组织开展土地现状调查、征地社会稳定性风险评估、补偿登记、补偿协议签订等征地前期相关工作。
特此公告
附:选址红线示意图
福州市鼓楼区人民政府
2025年10月20日
(此件主动公开)
扫一扫在手机上查看当前页面